Bloomington Ferry Road Corridor Visioning Study
The City of Bloomington is undertaking a corridor visioning study for Bloomington Ferry Road from Ensign/Veness Road to Dred Scott Park/110th Street. This is an opportunity for the City to revisit the needs of all users along Bloomington Ferry Road and create a roadway that better serves the current and future users of the corridor. Once a preferred vision is identified, future pavement, safety and other projects on this corridor will work towards implementing this adopted vision.
Study goals:
- better utilize the existing right-of-way to serve all users (motorists, bicyclists and pedestrians);
- improve management of traffic at intersections;
- enhance pedestrianContinue reading
The City of Bloomington is undertaking a corridor visioning study for Bloomington Ferry Road from Ensign/Veness Road to Dred Scott Park/110th Street. This is an opportunity for the City to revisit the needs of all users along Bloomington Ferry Road and create a roadway that better serves the current and future users of the corridor. Once a preferred vision is identified, future pavement, safety and other projects on this corridor will work towards implementing this adopted vision.
Study goals:
- better utilize the existing right-of-way to serve all users (motorists, bicyclists and pedestrians);
- improve management of traffic at intersections;
- enhance pedestrian crossings;
- reduce impervious area and improve stormwater management, and
- reduce greenhouse gas emissions
The study aims to work with the roadway users and the community to identify a shared vision for the corridor that will meet local needs and support community growth, ultimately forming the foundation for an effective reconstruction plan and layout that enhances safety, multimodal facilities and connections, access, operational efficiency and environmental resiliency.
Be involved:
Your input will help to identify and prioritize the needs along this corridor. We will keep you informed of the study progress and public engagement opportunities with updates on this study page.
Click in "Stay Informed" to sign up for email updates to stay connected to the study and learn about ways you can be involved. Updates are generated by staff when site content changes.
History of Bloomington Ferry Road:
Prior to the TH 169 river crossing, Bloomington Ferry Road was the Minnesota River crossing in this area. Based on that connection, Bloomington Ferry Road used to serve as a regional connection, so the roadway was designed accordingly. With the TH 169 and Bloomington Ferry Bridge construction, the Bloomington Ferry Road crossing was removed. However, the current roadway geometrics remain the same, a four-lane divided roadway capable of carrying higher traffic volumes than currently experienced. With the change in use of the roadway and the surrounding context, such as retail, parkland including Dred Scott Field, and access to the Minnesota River Valley and Hyland Trail, the thought is that the design of the roadway can be reimaged to meet the needs of current and future users of the corridor and to better align with goals of the City.
-
Final Report
Share Final Report on Facebook Share Final Report on Twitter Share Final Report on Linkedin Email Final Report link
The final report for the Bloomington Ferry Road Corridor Study is now available in the "Important Documents" on this page. The full report with appendix is a large file and available upon request.
The final report for the Bloomington Ferry Road Corridor Study is now available in the "Important Documents" on this page. The full report with appendix is a large file and available upon request.
-
Study Recommendations Adopted by Council
Share Study Recommendations Adopted by Council on Facebook Share Study Recommendations Adopted by Council on Twitter Share Study Recommendations Adopted by Council on Linkedin Email Study Recommendations Adopted by Council linkThe Bloomington City Council adopted the recommendations of the Bloomington Ferry Road Corridor Vision Study on Monday, December 22, 2025. The vote supports a corridor vision (Plan) that will reduce the roadway footprint down to one lane in each direction with turn lanes at intersections. The walking and biking infrastructure in the corridor vision will be off the roadway, with a 2-way bikeway parallel to one side of the roadway and sidewalk on both sides of the roadway. There will be additional space on the sides of the road for stormwater mitigation and other sustainability features. The adopted corridor vision is meant to be a guide for design as sections of the roadway become candidates for pavement preservation projects (reconstruction) in the future.
The adopted recommendations also included support for interim improvements to address the more pressing safety concerns identified on the corridor. This includes striping changes on the roadway and intersection modifications at multiple intersections between Veness and 102nd Street to modify intersection control and pedestrian crossing. With this guidance, Staff will begin working to identify funding and construction opportunities to implement these interim improvements on Bloomington Ferry Road.
The project team is working to complete the final report for the Bloomington Ferry Road Corridor Vision Study. Once completed, a link to the report will be available on this site.
The Bloomington City Council adopted the recommendations of the Bloomington Ferry Road Corridor Vision Study on Monday, December 22, 2025. The vote supports a corridor vision (Plan) that will reduce the roadway footprint down to one lane in each direction with turn lanes at intersections. The walking and biking infrastructure in the corridor vision will be off the roadway, with a 2-way bikeway parallel to one side of the roadway and sidewalk on both sides of the roadway. There will be additional space on the sides of the road for stormwater mitigation and other sustainability features. The adopted corridor vision is meant to be a guide for design as sections of the roadway become candidates for pavement preservation projects (reconstruction) in the future.
The adopted recommendations also included support for interim improvements to address the more pressing safety concerns identified on the corridor. This includes striping changes on the roadway and intersection modifications at multiple intersections between Veness and 102nd Street to modify intersection control and pedestrian crossing. With this guidance, Staff will begin working to identify funding and construction opportunities to implement these interim improvements on Bloomington Ferry Road.
The project team is working to complete the final report for the Bloomington Ferry Road Corridor Vision Study. Once completed, a link to the report will be available on this site.
-
Recommended Concept
Share Recommended Concept on Facebook Share Recommended Concept on Twitter Share Recommended Concept on Linkedin Email Recommended Concept linkBased on the results of the study, including the engineering analysis outcomes, the evaluation measurables for the project goals in the areas of water resources, sustainability, mobility and cost, and the public engagement feedback, the Technical Advisory Committee (TAC) recommendation for the Bloomington Ferry Road Corridor Vision is Concept C:
Concept C: Roadway with one-lane in each direction and turn lanes at intersections and two-way off-road bike path parallel to one side of the road and sidewalk parallel to both sides of the roadThe TAC recommendation also includes a recommendation that when the final design is created for each segment construction that the design works to maintain as much infrastructure as possible, such as maintaining one curb line and storm sewer.
The TAC also provided recommendations for interim improvements (to advance prior to future re-construction projects on the corridor) that include:
- Corridor: Lane reduction with striping changes
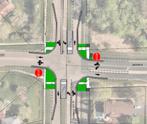
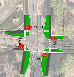
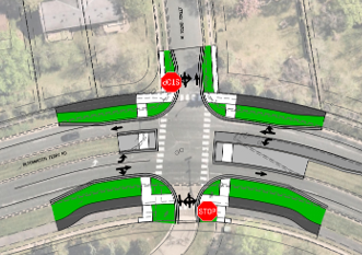
Example of Existing Corridor with Striping Changes - Veness Road: Signal removal (all-way stop) with bump-outs and approach lane reduction
- Lindstrom Drive: Curb bump-outs with lane reduction and crosswalk
- Yukon Avenue: Curb bump-outs with lane reduction
- 102nd Street: Signal removal (side street stop), lane reduction, and Rectangular Rapid Flashing Beacon (RRFB) enhanced crosswalk
Veness Road
Lindstrom Drive
Yukon Avenue
102nd StreetThis is the recommendation being brought to City Council that is recommended for adoption.
Based on the results of the study, including the engineering analysis outcomes, the evaluation measurables for the project goals in the areas of water resources, sustainability, mobility and cost, and the public engagement feedback, the Technical Advisory Committee (TAC) recommendation for the Bloomington Ferry Road Corridor Vision is Concept C:
Concept C: Roadway with one-lane in each direction and turn lanes at intersections and two-way off-road bike path parallel to one side of the road and sidewalk parallel to both sides of the roadThe TAC recommendation also includes a recommendation that when the final design is created for each segment construction that the design works to maintain as much infrastructure as possible, such as maintaining one curb line and storm sewer.
The TAC also provided recommendations for interim improvements (to advance prior to future re-construction projects on the corridor) that include:
- Corridor: Lane reduction with striping changes
Example of Existing Corridor with Striping Changes - Veness Road: Signal removal (all-way stop) with bump-outs and approach lane reduction
- Lindstrom Drive: Curb bump-outs with lane reduction and crosswalk
- Yukon Avenue: Curb bump-outs with lane reduction
- 102nd Street: Signal removal (side street stop), lane reduction, and Rectangular Rapid Flashing Beacon (RRFB) enhanced crosswalk
Veness Road
Lindstrom Drive
Yukon Avenue
102nd StreetThis is the recommendation being brought to City Council that is recommended for adoption.
- Corridor: Lane reduction with striping changes
-
Public Comment Opportunities
Share Public Comment Opportunities on Facebook Share Public Comment Opportunities on Twitter Share Public Comment Opportunities on Linkedin Email Public Comment Opportunities linkAll of the public comments received during the public engagement for the study are being provided to the Planning Commission and the City Council as they consider the recommendations of the study. If residents would like to speak to the Planning Commission or City Council members directly on this item, there will be opportunities for public comment with this agenda item at the upcoming Planning Commission and City Council meetings.
Planning Commission - December 4, 2025 6:00 PM (revised date)
- Commission meeting info: https://www.bloomingtonmn.gov/plan/events/planning-commission-meeting-2025-12-04(External link)
- There will be an opportunity for residents to speak to the Planning Commission on this item (agenda item public comment).
City Council Regular Meeting - December 22, 2025 6:30 PM (revised date)
- Council meeting info: https://www.bloomingtonmn.gov/cc/events/city-council-meeting-2025-12-22(External link)
- There will be an opportunity for resident to speak to the City Council on this item (agenda item public comment).
All of the public comments received during the public engagement for the study are being provided to the Planning Commission and the City Council as they consider the recommendations of the study. If residents would like to speak to the Planning Commission or City Council members directly on this item, there will be opportunities for public comment with this agenda item at the upcoming Planning Commission and City Council meetings.
Planning Commission - December 4, 2025 6:00 PM (revised date)
- Commission meeting info: https://www.bloomingtonmn.gov/plan/events/planning-commission-meeting-2025-12-04(External link)
- There will be an opportunity for residents to speak to the Planning Commission on this item (agenda item public comment).
City Council Regular Meeting - December 22, 2025 6:30 PM (revised date)
- Council meeting info: https://www.bloomingtonmn.gov/cc/events/city-council-meeting-2025-12-22(External link)
- There will be an opportunity for resident to speak to the City Council on this item (agenda item public comment).
-
Study Comments
Share Study Comments on Facebook Share Study Comments on Twitter Share Study Comments on Linkedin Email Study Comments linkThe deadline to submit the open house #2 comment cards has closed. Residents are still able to provide comments about the goals and future vision for the corridor by sending emails to Amy Marohn at amarohn@bloomingtonmn.gov.
The deadline to submit the open house #2 comment cards has closed. Residents are still able to provide comments about the goals and future vision for the corridor by sending emails to Amy Marohn at amarohn@bloomingtonmn.gov.
-
Open House #2 Materials
Share Open House #2 Materials on Facebook Share Open House #2 Materials on Twitter Share Open House #2 Materials on Linkedin Email Open House #2 Materials link
Thank you to all of those that were able to attend the open house on Tuesday, September 23 at Sunrise Park. We had some good conversations and received a lot of feedback on the layouts and through the comment cards.
If you were not able to attend, the open house boards and corridor concepts are now available to view from this page. To access look for "Important Documents" in the right hand column. The informational boards are named Open House #2 Boards. The corridor layouts are available separately and are named with the corridor concept letter and description of the layouts - we did reduce the file sizes as much as possible but they are still each large files.
Comments can be provided in the Comment Card tab using the same format at the comment card sheets handed out at the open house. We ask that all comments be submitted by Monday, October 13 so the feedback can be shared as we provide Commission and Council updates.
Thank you to all of those that were able to attend the open house on Tuesday, September 23 at Sunrise Park. We had some good conversations and received a lot of feedback on the layouts and through the comment cards.
If you were not able to attend, the open house boards and corridor concepts are now available to view from this page. To access look for "Important Documents" in the right hand column. The informational boards are named Open House #2 Boards. The corridor layouts are available separately and are named with the corridor concept letter and description of the layouts - we did reduce the file sizes as much as possible but they are still each large files.
Comments can be provided in the Comment Card tab using the same format at the comment card sheets handed out at the open house. We ask that all comments be submitted by Monday, October 13 so the feedback can be shared as we provide Commission and Council updates.
-
Public Open House #2
Share Public Open House #2 on Facebook Share Public Open House #2 on Twitter Share Public Open House #2 on Linkedin Email Public Open House #2 link

-
Round One Engagement Summary
Share Round One Engagement Summary on Facebook Share Round One Engagement Summary on Twitter Share Round One Engagement Summary on Linkedin Email Round One Engagement Summary linkReport out findings
The goal of the first round of engagement for the Bloomington Ferry Road Corridor Visioning Study was to gather input from users of the corridor on their experiences and concerns with the current corridor.
The project team hosted a public open house on May 14 at Countryside Park to gather feedback on the Bloomington Ferry Road corridor. Community members were invited to learn about the study, speak directly with staff, and share input through a public survey. The event featured visual displays highlighting goals for the corridor and existing conditions. Attendees had the opportunity to ask questions, identify areas of concern, and share feedback to help shape the future of Bloomington Ferry Road.
Let’s Talk Bloomington, which is an online platform the City utilizes for public engagement, was also utilized to gather input from the public. An interactive project map allowed people to “pin” comments to specific locations. The survey from the open house was available on Let’s Talk Bloomington as well.
Survey participants indicated they primarily use Bloomington Ferry Road because they live in the area and use the corridor to access destinations along and beyond the study corridor. The road serves both neighborhood needs and neighborhood connectivity.
Feedback from the public revealed several consistent themes:
- Many attendees want safer, more visible crossings, particularly at intersections where drivers often fail to stop or yield.
- High vehicle speeds and frequent failure to obey stop signs were among the top concerns raised.
- Some participants suggested narrowing the road to help calm traffic and improve safety for all users.
- Roundabouts were favored at select locations as a way to slow traffic, maintain traffic flow, and improve safety at key intersections.
- Attendees expressed support for landscaping, native vegetation, and sustainable stormwater features, and a desire to see them well-maintained over time.
Next Steps
Community input from the first round of engagement will directly inform the next phase of project development. The project team will use this feedback in the development of potential design concepts. These concepts will be shared with the public in September for input.
Report out findings
The goal of the first round of engagement for the Bloomington Ferry Road Corridor Visioning Study was to gather input from users of the corridor on their experiences and concerns with the current corridor.
The project team hosted a public open house on May 14 at Countryside Park to gather feedback on the Bloomington Ferry Road corridor. Community members were invited to learn about the study, speak directly with staff, and share input through a public survey. The event featured visual displays highlighting goals for the corridor and existing conditions. Attendees had the opportunity to ask questions, identify areas of concern, and share feedback to help shape the future of Bloomington Ferry Road.
Let’s Talk Bloomington, which is an online platform the City utilizes for public engagement, was also utilized to gather input from the public. An interactive project map allowed people to “pin” comments to specific locations. The survey from the open house was available on Let’s Talk Bloomington as well.
Survey participants indicated they primarily use Bloomington Ferry Road because they live in the area and use the corridor to access destinations along and beyond the study corridor. The road serves both neighborhood needs and neighborhood connectivity.
Feedback from the public revealed several consistent themes:
- Many attendees want safer, more visible crossings, particularly at intersections where drivers often fail to stop or yield.
- High vehicle speeds and frequent failure to obey stop signs were among the top concerns raised.
- Some participants suggested narrowing the road to help calm traffic and improve safety for all users.
- Roundabouts were favored at select locations as a way to slow traffic, maintain traffic flow, and improve safety at key intersections.
- Attendees expressed support for landscaping, native vegetation, and sustainable stormwater features, and a desire to see them well-maintained over time.
Next Steps
Community input from the first round of engagement will directly inform the next phase of project development. The project team will use this feedback in the development of potential design concepts. These concepts will be shared with the public in September for input.
-
Interactive Project Map
Share Interactive Project Map on Facebook Share Interactive Project Map on Twitter Share Interactive Project Map on Linkedin Email Interactive Project Map linkCLOSED: This discussion has concluded. Staff are working to develop alternatives.The interactive project map has been created and is now open for use. Go to the "Comment Map" tab to access. Then use the "new pin" button to add pins on the map and follow the prompts to create a pin or upload a picture demonstrating your comment.
The purpose of this map is to provide a tool for you, as a user of this corridor, to provide your input on experiences and concerns related to driving, biking, walking, drainage, and more, for Bloomington Ferry Road.
Your comments will be used to shape the study and the development of options for the corridor. Check back as the study continues to see how your input has been considered.
When submitting a photo...
- By your submission, you are affirming (1) that you are the photographer and copyright holder of the submitted image, and (2) that you grant the City of Bloomington permission to use the submitted image in any of its online and print marketing and communications.
- Submit only photos that were taken in Bloomington or show a subject that is related to the Urban Forest Master Plan. Please explain the photo's Bloomington connection in the comments box.
- If you submit a photo taken at a non-public event that shows any person(s) whose identity is identifiable, you are responsible for obtaining permission from the person(s) to submit the photo.
- High resolution images are preferred, but avoid uploading files that are more than 10MB in size.
- Please note that all submissions become the sole property of the City of Bloomington and will not be returned. No compensation will be offered for selected submissions. Photo credit may or may not be given when the City uses your photo.
- Photo types allowed jpg, jpeg, png.
The interactive project map has been created and is now open for use. Go to the "Comment Map" tab to access. Then use the "new pin" button to add pins on the map and follow the prompts to create a pin or upload a picture demonstrating your comment.
The purpose of this map is to provide a tool for you, as a user of this corridor, to provide your input on experiences and concerns related to driving, biking, walking, drainage, and more, for Bloomington Ferry Road.
Your comments will be used to shape the study and the development of options for the corridor. Check back as the study continues to see how your input has been considered.
When submitting a photo...
- By your submission, you are affirming (1) that you are the photographer and copyright holder of the submitted image, and (2) that you grant the City of Bloomington permission to use the submitted image in any of its online and print marketing and communications.
- Submit only photos that were taken in Bloomington or show a subject that is related to the Urban Forest Master Plan. Please explain the photo's Bloomington connection in the comments box.
- If you submit a photo taken at a non-public event that shows any person(s) whose identity is identifiable, you are responsible for obtaining permission from the person(s) to submit the photo.
- High resolution images are preferred, but avoid uploading files that are more than 10MB in size.
- Please note that all submissions become the sole property of the City of Bloomington and will not be returned. No compensation will be offered for selected submissions. Photo credit may or may not be given when the City uses your photo.
- Photo types allowed jpg, jpeg, png.
-
Public Open House #1
Share Public Open House #1 on Facebook Share Public Open House #1 on Twitter Share Public Open House #1 on Linkedin Email Public Open House #1 linkCLOSED: This discussion has concluded.Join us for a public open house on Wednesday, May 14, 2025 between 4:30 and 6:30 PM at Countryside Park, 10240 Bloomington Ferry Road. With the open house format you can stop by at any time between 4:30 and 6:30 to look over available study information and have conversation with staff about your corridor comments. View the open house posters.
The parking lot at this park is small so please walk, bike or roll if you are able. On-street parking is available on many of the local streets near the park.
Post card:

Join us for a public open house on Wednesday, May 14, 2025 between 4:30 and 6:30 PM at Countryside Park, 10240 Bloomington Ferry Road. With the open house format you can stop by at any time between 4:30 and 6:30 to look over available study information and have conversation with staff about your corridor comments. View the open house posters.
The parking lot at this park is small so please walk, bike or roll if you are able. On-street parking is available on many of the local streets near the park.
Post card:

Signup Banner
Who's Listening
-
Phone 952-563-4532 Email amarohn@bloomingtonmn.gov -
Phone 952-563-4540 Email drezac@bloomingtonmn.gov
Important Documents
-
BFR Open House 1 Boards.pdf (4.57 MB) (pdf)
-
Open House 2 Informational Boards (4.24 MB) (pdf)
-
Corridor Layout Concept A - One way Bikeways and Sidewalks (24.8 MB) (pdf)
-
Corridor Layout Concept B - Shared Use Paths (23.4 MB) (pdf)
-
Corridor Layout Concept C - Two way Bikeway and Sidewalks (24.5 MB) (pdf)
-
Open House 2 Comment Card (171 KB) (pdf)
-
Bloomington Ferry Road_City Council 12222025.pdf (1.87 MB) (pdf)
-
Bloomington Ferry Road Corridor Visioning Study Report_without Appendices.pdf (2.26 MB) (pdf)
Timeline
-
Request for Proposal (RFP) for Engineering Services
Bloomington Ferry Road Corridor Visioning Study has finished this stageDecember 2024: Issue Request for Proposal (RFP) for Engineer.
-
Contract Awarded to Engineering Firm
Bloomington Ferry Road Corridor Visioning Study has finished this stageJanuary 27 City Council Meeting authorization of contract to SRF Consulting, Inc.
-
Community Engagement Event #1
Bloomington Ferry Road Corridor Visioning Study has finished this stageMay 14, 2025 - 4:30 p.m. to 6:30 p.m.
This event will be held at Countryside Park (10240 Bloomington Ferry Road). This event will be a chance for stakeholder along the corridor to offer suggestions for how they envision a future Bloomington Ferry Road corridor. View open house documents.
-
Existing Conditions Data Collection
Bloomington Ferry Road Corridor Visioning Study has finished this stageInvestigate Traffic Volume and Parking Data, Crash History, Access Inventory, Land Use, Research Previous Studies
-
Commissions and City Council Updates
Bloomington Ferry Road Corridor Visioning Study has finished this stageJuly 10 - Planning Commission Update, https://www.bloomingtonmn.gov/plan/events/planning-commission-meeting-2025-07-10
July 15 - Sustainability Commission Update, https://www.bloomingtonmn.gov/cob/events/sustainability-commission-meeting-2025-07-15
July 28 - City Council Study Session Update, https://www.bloomingtonmn.gov/cc/events/city-council-study-meeting-2025-07-28
-
Develop Corridor Concepts
Bloomington Ferry Road Corridor Visioning Study has finished this stagePrepare corridor concepts to address the issues and goals identified for the corridor.
-
Community Engagement Event #2
Bloomington Ferry Road Corridor Visioning Study has finished this stagePublic Open House #2
September 23, 2025 - 4:30 PM - 6:30 PM
Location (outdoor): Sunrise Park, 9401 Bloomington Ferry Road
Back-up location: Bloomington Lutheran School, 10600 Bloomington Ferry Road (will share on this page if the location is moved to this back-up location)
You are invited to learn more about the options being considered for the Bloomington Ferry Road corridor vision and to share your thoughts with project staff.
The open house materials will be available for viewing here starting the day after the open house.
-
Commissions and City Council Updates - Recommendations and Requested Action
Bloomington Ferry Road Corridor Visioning Study has finished this stageSustainability Commission - October 21, 2025 6:00 PM
- Commission meeting info: https://www.bloomingtonmn.gov/pw/sustainability-commission
- Meeting minutes: https://www.bloomingtonmn.gov/cob/city-meetings-agendas-webcasts-and-documents
Planning Commission - December 4, 2025 6:00 PM (revised date)
- Commission meeting info: https://www.bloomingtonmn.gov/plan/events/planning-commission-meeting-2025-12-04
- There will be an opportunity for residents to speak to the Planning Commission on this item (public comment).
City Council Regular Meeting - December 22, 2025 6:30 PM (revised date)
- Council meeting info: https://www.bloomingtonmn.gov/cc/events/city-council-meeting-2025-12-22
- There will be an opportunity for resident to speak to the City Council on this item (public comment).
-
Final report
Bloomington Ferry Road Corridor Visioning Study is currently at this stageThe final outcomes of the consultation are documented here. This may include a summary of all contributions collected as well as recommendations for future action.